Imagine 53

Teren intravilan 2 parcele construibile de 700 mp , zona Baciu

ID: P3487 Baciu, Fara zona 56
59.900€
Suprafata teren
700 mp
Front stradal
22 m
Descriere
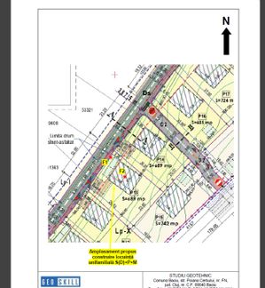
Vă prezentăm spre vânzare un teren construibil , cu Certificat de Urbanism de Construire, situat în comuna Baciu, pe strada Poiana Cerbului, în drumul spre Resortul Sun Garden. Proprietatea beneficiază de acces facil de pe un drum asfaltat și este amplasată într-o zonă liniștită, cu o priveliște superbă, aproape de autostradă și oraș.
Detalii teren:
✅ Suprafață: 700 mp, ideal pentru dezvoltarea unui proiect rezidențial
✅ Autorizare rapidă: Posibilitate de obținere facilă a autorizației de construcție, fără întârzieri
✅ Utilități disponibile: Apă și curent trifazic, Canalizare, cu măsurători topografice și studiu geotehnic realizate
✅ Zonă liniștită: Locație însorită, cu o panoramă deosebită, perfectă pentru relaxare
✅ Acces convenabil: Conectare rapidă la oraș și la autostradă

📞 Pentru detalii suplimentare și programarea unei vizionări, nu ezitați să ne contactați!
ID extern: P3487





Caracteristici
  • ID:P3487
  • S. teren:700.00 mp
  • Front stradal:22.00 m
  • Clasificare teren:Intravilan
  • Regim inaltime:S+D+P+1
Specificatii
Curent
Apa
Canalizare
Acces internet
Localizare
Eduard Transilvania-Imobiliare
Manager
Esti interesat de aceasta proprietate ?
Proprietati similare
Imagine 19920
Teren intravilan, 500 mp, PUZ aprobat, zona Centrul CREIC
Cluj-Napoca, Iris 55.000€
500mp
0% comision Rep. exclusiva Imagine 19090
Teren 520mp construibil
Chinteni 64.990€
520mp
Imagine 18686
Teren Duplex/Casa individuala cu autorizatie, in Popesti
Popesti, Central 183,10€ + TVA/mp
355mp
Rep. exclusiva Imagine 18521
Teren 1000 mp Iris, front 50 ml, cu utilități
Cluj-Napoca, Iris 64.990€
967mp
Imagine 17812
Teren intravilan 500mp
Chinteni, Central 59.000€
500mp
Exclusivitate Imagine 15994
Terenuri cu autorizatie de Duplex, in Chinteni
Chinteni 60.000€
500mp